
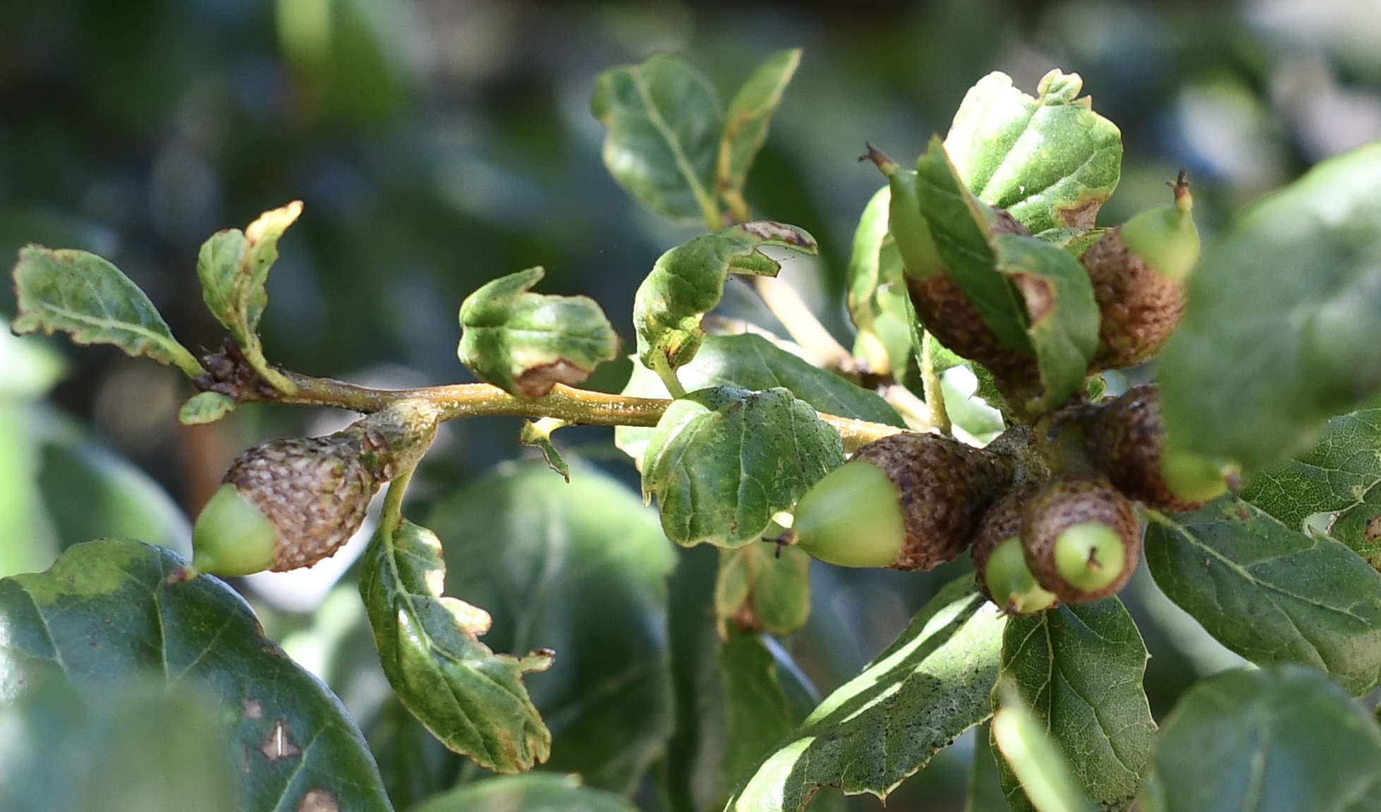
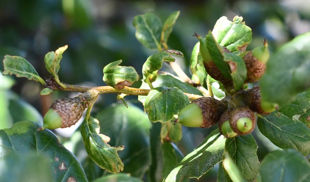
Twelve years ago I planted a coastal oak in the front yard to replace an oak that had succumbed to bark beetles. It was about six-feet tall, dwarfed by its ancient predecessor. With each passing year the little oak stayed just that, a little oak. However, this Spring I noticed the oak was having a growth spurt—it seemed to have grown three feet in a few months and overall it was a good 15 feet high. Then last week I noticed there were small green acorns on the lower branches. I had read that acorns aren’t produced until the tree is 15 to 20 years of age. Wake up call: the tree has grown up.
My enthusiasm over the acorns comes from a best selling book, The Hidden Life of Trees, by Peter Wohlleben who manages a forest in Germany. He lays out how trees, including oaks, communicate with each other to take on survival issues. Put simply, I now look at my trees in different light

Leave a comment